Pamje të frikshme të “Milton”, uragani mori formën e kafkës përpara se të godiste Floridën

Uragani “Milton” goditi shtetin e Floridës në SHBA, duke shkaktuar shumë viktima dhe dëme të rënda në disa qytete.
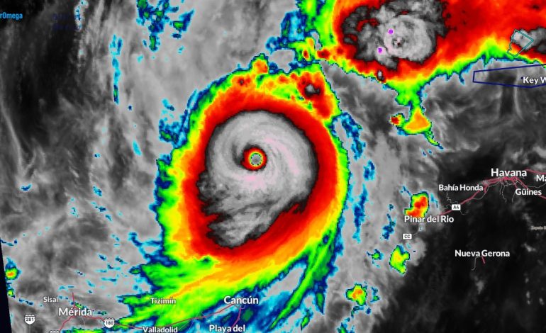
Një imazh satelitor rrëqethës i uraganit tregonte stuhinë duke marrë formën e një kafke përpara se të zbriste në Florida të mërkurën e 9 tetorit.
Stu Ostro, meteorolog i lartë në Weather Channel, ndau foton e frikshme në X, duke e shfaqur atë pranë një imazhi të ngjashëm të uraganit Matthew në 2016.
The original skull face with #Matthew in 2016, and #Milton tonight
Both are “M” storms
Interesting that intense hurricanes can be conducive to having that structure pic.twitter.com/URkLv3rPet
— Stu Ostro (@StuOstro) October 9, 2024
Ekspertët e kanë përshkruar uraganin “Milton” si një stuhi “përbindësh”, që e bën këtë imazh satelitor edhe më të përshtatshëm.
AlbaniaWeb.net
